Opis oferty
OFERTA NA WYŁĄCZNOŚĆ, TYLKO U NAS!
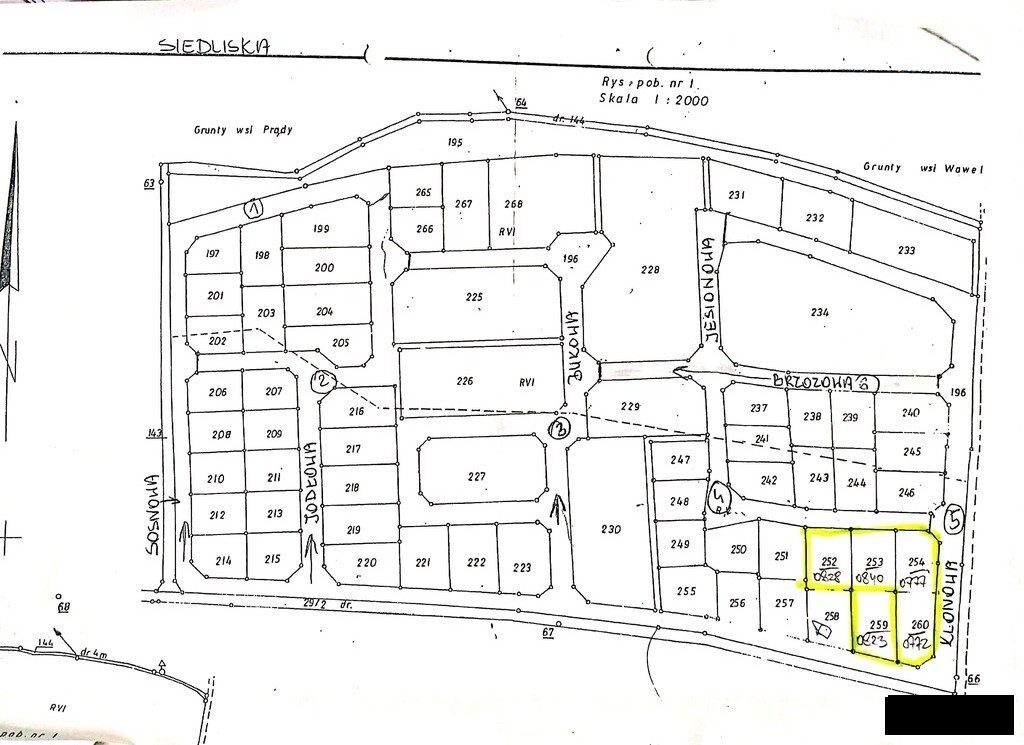
Mam przyjemność zaproponować Państwu działki budowlane zlokalizowane przy ul. Klonowej w Siedliskach, w województwie opolskim, w gminie Dąbrowa, w bardzo uroczej i spokojnej dzielnicy domków jednorodzinnych w bliskiej odległości od Wawelna.
Nieruchomość gruntowa ma powierzchnię 4,040 m2, jest podzielona na 5 działek ok. 8 ar (dz. nr 252: 828 m2, dz. nr 253: 840 m2, dz.nr 254: 777 m2, dz.nr 259: 823 m2, dz.nr 260: 772 m2)
z możliwością kupienia całości lub każdej działki z osobna. Cena dotyczy 5 działek.
Dojazd do działek z dwóch stron. Droga dojazdową asfaltowa i gruntowa, uzbrojenie terenu zlokalizowane niedaleko działek (woda, prąd). Działki zlokalizowane w sąsiedztwie domków jednorodzinnych w spokojnej i cichej okolicy.
Działka ma uporządkowany status prawny.
Zapraszamy do osobistego zapoznania się z ofertą.
Zapraszam do kontaktu:
Anna Mołodecka
tel. +48 693 773 163
e-mail: a.molodecka@anadom.pl
Pośrednik odpowiedzialny zawodowo – Anna Mołodecka – lic. nr 17871
Każda transakcja dokonywana za naszym pośrednictwem została objęta ochroną ubezpieczeniową zgodnie z wymogami ustawy o gospodarce nieruchomościami. Oferujemy bezpłatną pomoc w uzyskaniu atrakcyjnego kredytu na zakup nieruchomości. Podane wyżej informacje zostały pozyskane od właściciela nieruchomości podczas jej oględzin i nie stanowią oferty w rozumieniu art. 66 i nast. k.c. Stan prawny i faktyczny może podlegać aktualizacji.
